Sexta-feira, 29 de maio de 2026

Porto Alegre

CADASTRE-SE E RECEBA NOSSA NEWSLETTER

Receba gratuitamente as principais notícias do dia no seu E-mail.
cadastre-se aqui

RECEBA NOSSA NEWSLETTER
GRATUITAMENTE

cadastre-se aqui

Rio Grande do Sul O Ministério Público investiga desmatamento na Serra Gaúcha

Compartilhe esta notícia:

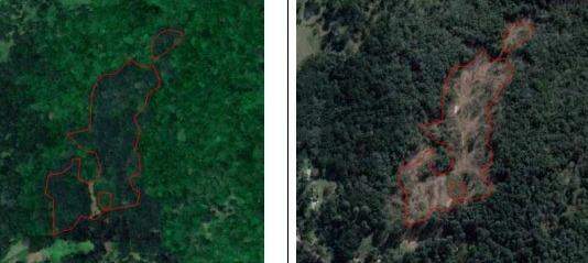
Imagens de satélite revelam desmatamento em Gramado

Foto: Divulgação
Imagens de satélite revelam desmatamento em Gramado. (Foto: Divulgação)

Com base em informações do GAT (Gabinete de Assessoramento Técnico do Ministério Público), a Promotoria de Justiça de Gramado instaurou um inquérito civil para investigar dano ambiental decorrente de desmatamento no município da Sera Gaúcha.

O inquérito é um dos primeiros resultados do projeto institucional MapBiomas Alerta, desenvolvido pelo Centro de Apoio Operacional de Defesa do Meio Ambiente, juntamente com o GAT, por meio do qual são analisados os alertas de desmatamento existentes no Rio Grande do Sul.

Os dados obtidos pela plataforma são cruzados com uma pesquisa no Sistema Nacional de Cadastro Ambiental Rural para identificação das propriedades e dos responsáveis pelas áreas desmatadas.

“Surgiu, em Gramado, um desmatamento de mata nativa em uma área de cerca 2,4 hectares, e o GAT encaminhou à Promotoria de Justiça a análise da situação”, disse o promotor Max Guazelli, que instaurou o inquérito civil.

O promotor considera a ferramenta tecnológica importante para a identificação de danos e a recuperação do meio ambiente, além de servir como meio inibitório para novos desmatamentos.

Nas fotos dos satélites, aparece a área preservada no dia 21 de novembro de 2018 e a mesma área desmatada em 16 de agosto de 2019. O relatório do GAT contém, inclusive, o número das matrículas dos imóveis onde se localizam os desmatamentos.

Compartilhe esta notícia:

Voltar Todas de Rio Grande do Sul

Deixe seu comentário

Os comentários estão desativados.

Governo da Espanha prolonga confinamento, mas permitirá que crianças saiam de casa
Brasil registra 2.347 mortes por Covid-19 e 36.599 casos da doença
Pode te interessar